Categoría: Edificaciones, Instalaciones
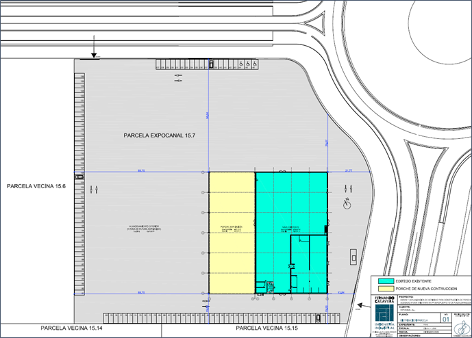
Localización: Parcela ALI 15-7, Ronda del aeropuerto, 12 - de Plaza (Zaragoza)
Titular: MATERIALES DE CONSTRUCCIÓN EXPOCANAL, SL
Servicios
PEM: 400.000 €
Fecha: Enero-Mayo 2021
Estado de la obra: Finalizada
Localización: Parcela ALI 15-7, Ronda del aeropuerto, 12 - de Plaza (Zaragoza)
Titular: MATERIALES DE CONSTRUCCIÓN EXPOCANAL, SL
Servicios
- Proyecto de obras de construcción de nueva nave.
- Dirección Facultativa de las Obra e instalaciones de la nave.
- Coordinación de seguridad y Salud de las Obra e instalaciones de la nave.
- Proyecto de Actividad clasificada
PEM: 400.000 €
Fecha: Enero-Mayo 2021
Estado de la obra: Finalizada